Confignon

PDCOM CONFIGNON

Révision du Plan directeur communal de Confignon
CLIENT : commune de Confignon
DATE : en cours
ROLE : Architecte urbaniste
PROGRAMME : plan directeur communal
SPECIALISTES : Triporteur, Transitec, BGingénieurs conseils, Acade
x
COLOGNY

APT PLANTA 2

Transformations et aménagements intérieurs d’un appartement.
Photographies © Nathalie Rebholz
CLIENT : Privé
DATE : 2018
ROLE : Architecte et direction des travaux
PROGRAMME : 1 logement
SURFACE BRUTE DE PLANCHER : env. 120 m²
x
GENEVE

CFPA NECKER ET LANDWEHR

Transformation et optimisation des locaux de l’école de photographie du Centre de Formation Professionnel Arts de Genève, dans les anciens locaux de la Landwehr.
CLIENT : Etat de Genève, Département des finances
DATE : 2017-2018
ROLE : Architecte et direction des travaux
SURFACE BRUTE DE PLANCHER : 952 m²
BUDGET : 2,2 mio CHF
PARTENAIRES : PSA ingénieurs électricité, Beaud ingénierie, physique du bâtiment, Hirt ingénieurs ventilation
Photographe: Nathalie Rebholz
x
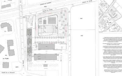
CONFIGNON

REVISION DU PLAN DIRECTEUR COMMUNAL

Mandat pour la révision du PDCom 2006 de la commune de Confignon qui accueille sur son territoire le grand projet des Cherpines.
CLIENT : Commune de Confignon
DATE : En cours
ROLE : Pilote du groupement, architecte et urbaniste
SUPERFICIE : 2.76 km²
HORIZON DE PLANIFICATION : 2030
PARTENAIRES : Triporteur, BG ingénieurs conseils, Transitec
x
LANCY

REVISION DU PLAN DIRECTEUR COMMUNAL DE LA VILLE DE LANCY

Révision du plan directeur communal de Lancy. Etablissement du nouveau plan des cheminements pour piéton et concertation publique avec des groupes représentatifs de la société civile.
CLIENT : Commune de Lancy
DATE : 2017-2018
ROLE : Architecte, urbaniste et concertation publique
SUPERFICIE : 4,77 km²
PARTENAIRES : Acau, architecte associé, In situ vivo architecte paysagiste
x
LANCY

GUIDE D’AMÉNAGEMENT POUR LA QUALITÉ DES ESPACES LIBRES

Etablissement d’une charte d’aménagement des espaces libres qui vise à garantir la qualité, l’usage et l’intégration des nouveaux quartiers dans le contexte lancéen.
CLIENT : Ville de Lancy
DATE : 2017-2018
ROLE : Architecte, urbaniste et concept graphique
PARTENAIRES : Triporteur, Sylvain Leguy
x
VERNIER

NOUVEAU CYCLE D’ORIENTATION A VERNIER SUR LE SITE DE BALEXERT

Concours de projets pour le nouveau cycle d’orientation à Vernier en remplacement du cycle du Renard.
ORGANISATEUR : Etat de Genève
DATE : 2017
ROLE : Architecte
PARTENAIRE : Conte Pianetti Zanetta Architetti Sarl architectes, Borlini & Zanini SA ingénieurs civils
x
GENEVE

SOUS-VOIE DE L’AVENUE DE L’AIN, UN CHANTIER PARTICIPATIF

Requalification du passage du sous voie de l’avenue de l’Ain. Création d’une fresque participative et d’un mur végétal avec des professionnels du bâtiment et les enfants des maisons de quartier des Libellules et de la Concorde.
CLIENT : Association Forum démocratie
DATE : 2017
ROLE : Architecte et direction des travaux
PARTENAIRES : Association Chantier ouvert, Hélène Hinden, bryologue, Canopee paysagisme
x
GALAXIDI

RÉSIDENCE D’ÉTÉ ANONYMOU

Rénovation et transformation d’une maison villageoise du XIXe siècle en résidence d’été. La construction est en briques de terre crue, les chaînages d’angle en pierre de taille et la charpente en bois. La maison est protégée par la commission des monuments et sites de Delphes.
CLIENT : Privé
DATE : 2015-2017
ROLE : Architecte
PROGRAMME : 1 logement
SURFACE BRUTE DE PLANCHER : env. 110 m2
PARTENAIRES : V. Papapolitis, N. Voulgaris
x
LANCY

MODIFICATION DE L’EDICULE DE SORTIE DE SECOURS ST. JULIEN, GARE DU LEMAN EXPRESS

Projet, procédure fédérale d’approbation de plans (PAP) et travaux de modification de l’édicule de sortie de secours de la halte du Léman Express de Carouge-Bachet.
CLIENT : CFF SA, Etat de Genève
DATE : 2017- en cours
ROLE : Architecte et direction des travaux
PARTENAIRE : GE Pinchat ingénieurs civils
x
BERNE

SECTEUR FERROVIAIRE DE AEBIMATTE

Mandat d'études parallèles pour la transformation et la valorisation du secteur ferroviaire de Bern Aebimatte.
CLIENT : CFF SA
DATE : 2016
ROLE : Architecte et urbaniste
PROGRAMME : Quartier mixte avec logements, bureaux, commerces et artisanats
SUPERFICIE : 17'123 m²
SURFACE BRUTE DE PLANCHER : 100'155 m²
PARTENAIRES : MRS mobilité
x
GENEVE

SECTEUR FERROVIAIRE DE SECHERON

Mandat d'études parallèles pour la valorisation et la transformation du secteur ferroviaire de la hall d’entretien des locomotives à Sécheron.
CLIENT : CFF SA
DATE : 2016
ROLE : Architecte et urbaniste
PROGRAMME : Quartier mixte avec logements, bureaux et commerces
SUPERFICIE : 28'000 m²
SURFACE BRUTE DE PLANCHER : 67'893 m²
PARTENAIRE : MRS mobilité
x
LANCY

SECTEUR FERROVIAIRE DE LA BOUCLE PONT ROUGE

Etude d’opportunité et de programmation pour la densification d’une parcelle CFF au-dessus d’une boucle de tramway existante.
CLIENT : Etat de Genève, Direction générale des transports
DATE : 2015-2016
ROLE : Etat de Genève, CFF SA
SUPERFICIE : 27'500 m²
SURFACE BRUTE DE PLANCHER : 20'000 m² (affectation mixte)
PARTENAIRES : Inexis risques majeurs
x
BERNEX

POLE D’ENSEIGNEMENT, SECTEUR DE LA GOUTTE ST-MATHIEU

Etude de préfaisabilité et de faisabilité pour la réalisation d’un pôle d’enseignement cantonal regroupant les écoles de formation professionnelle en santé (CFPS), un cycle d’orientation (CO), un équipement communal et un Parking relais P+R.
CLIENT : Etat de Genève, Département des finances
DATE : 2016 - 2017
ROLE : Pilote de l'équipe pluridisciplinaire, architecte et urbaniste
PROGRAMME : Equipements scolaires, salle communale et P+R
SUPERFICIE : 42'400 m²
SURFACE BRUTE DE PLANCHER : 72’446 m²
BUDGET : 210 mio CHF
PARTENAIRES : EDMS génie civil, MRS mobilité, INEXIS risques majeurs, AAB acoustique
x
CAROUGE

SECTEUR TANNERIE GUILLOCHEURS

Avant-projet et concertation du plan localisé de quartier du secteur de Tannerie Guillocheurs à Carouge.
CLIENTS : Fondation Emma Kammacher (FEK), Etat de Genève, propriétaires privés du secteur
DATE : 2017-2018
ROLE : Pilote du groupement, architecte et urbaniste
PROGRAMME : Plan localisé de quartier et processus de concertation
PARTENAIRES : BCPH ingénieurs mobilité, EDMS ingénieurs environnement, Paysage'n co
x
VEYRIER

GRAND PROJET LES GRANDS ESSERTS

Avant-projet, formalisation, enquête technique et concertation publique du plan localisé de quartier de la phase 2 du Grand Projet les Grands Esserts.
CLIENT : Caisse de prévoyance de l'État de Genève (CPEG), Fondation Immobilière de Veyrier (FIV), Etat de Genève
DATE : 2016 - 2018
ROLE : Pilote de l’équipe pluridisciplinaire, architecte et urbaniste
PROGRAMME : 770 logements avec un équipement public communal
SUPERFICIE : 72'000 m²
SURFACE BRUTE DE PLANCHER : 85'000 m²
PARTENAIRES : Paysage n’co, CSD et CITEC
x
TOLOCHENAZ

CONCEPTS DE DEVELOPPEMENTS IMMOBILIERS – STEINER SA

Etablissement de 10 solutions de développement immobilier pour le concept « total service development » de Steiner SA, dans le cadre de la publication de leur brochure client.
CLIENT : Steiner SA
DATE : 2017
ROLE : Architecte, urbaniste et concept graphique
PARTENAIRE : Sylvain Leguy
x
GENEVE

ZONES D’AFFECTATION, SUPPORTS DIDACTIQUES

Réalisation de supports didactiques et explicatifs à l’intention d’un public professionnel et non professionnel permettant de comprendre les instruments de planification de l’Etat de Genève et leurs opérationnalités à l’échelle du Canton.
CLIENT : Etat de Genève, Département de l’aménagement, du logement et de l’énergie
DATE : 2017
ROLE : Architecte, urbaniste et concept graphique
x
GENEVE

DROIT A BATIR, SUPPORTS DIDACTIQUES

Réalisation de supports didactiques et explicatifs à l’intention d’un public professionnel et non professionnel, permettant de comprendre la notion de droits à bâtir lors des différentes phases de planification d’un nouveau quartier.
CLIENT : Etat de Genève, Département de l’aménagement, du logement et de l’énergie
DATE : 2017
ROLE : Architecte, urbaniste et conception graphique
x
GENEVE

ZONES RESERVEES, SUPPORTS DIDACTIQUES

Réalisation de supports didactiques et explicatifs à l’intention des propriétaires de parcelles en zone 5, permettant de comprendre les mécanismes de la zone réservée et de son application.
CLIENT : Etat de Genève, Département de l’aménagement, du logement et de l’énergie
DATE : 2017
ROLE : Architecte, urbaniste et conception graphique
x
GENEVE

PROJET D’AMENAGEMENT D’UNE TRAVERSEE PIETONNE SUR LE QUAI GUSTAVE-ADOR

Conception d’un projet d’aménagement améliorant la traversée piétonne entre la rue du 31 Décembre et le quai Gustave-Ador. Le dimensionnement des voies de circulation se base sur l’hypothèse du projet cantonal de bouclement autoroutier, un projet qui devrait permettre le délestage du trafic routier en centre-ville.
CLIENT : Etat de Genève, Direction générale des transports (DETA)
DATE : 2015
ROLE : Architecte et urbaniste
PROGRAMME : Aménagement des espaces publics
PARTENAIRES : François Camille, Leonardo Vinti, Transitec ingénieur mobilité
x
GENEVE

PROJET D’AMENAGEMENT DE LA PLACE NEUVE – CROIX ROUGE

Conception d’un projet d’aménagement améliorant la traversée piétonne entre la place neuve, la rue de la Croix-Rouge et la rue de la Corraterie. Le dimensionnement des voies de circulation se base sur l’hypothèse du projet cantonal de bouclement autoroutier, un projet qui devrait permettre le délestage du trafic routier en centre-ville.
CLIENT : Etat de Genève, Direction générale des transports (DETA)
DATE : 2015
ROLE : Architecte et urbaniste
PROGRAMME : Aménagement des espaces publics
PARTENAIRES : François Camille, Leonardo Vinti, Transitec ingénieur mobilité
x
GENEVE

AMÉNAGEMENT D’UNE VOIE CYCLABLE LE LONG DU QUAI DU MONT-BLANC

Conception d’un projet d'aménagement d'une voie cyclable le long du quai Mont-Blanc. Ce projet est rendu possible grâce au délestage du trafic routier suite au projet cantonal de bouclement autoroutier.
CLIENT : Etat de Genève, Direction générale des transports (DETA)
DATE : 2015
ROLE : Architecte et urbaniste
PROGRAMME : Aménagement des espaces publics
PARTENAIRES : François Camille, Leonardo Vinti, Transitec ingénieur mobilité
x
GENEVE

RE-AMENAGEMENT DES VOIES DE CIRCULTATION SUR LE PONT DU MONT-BLANC

Réaménagement des voies de circulation du Pont du Mont-Blanc avec une voie dévolue à la mobilité douce. Le dimensionnement des voies de circulations se base sur l’hypothèse du projet cantonal de bouclement autoroutier.
CLIENT : Etat de Genève, Direction générale des transports (DETA)
DATE : 2015
ROLE : Architecte et urbaniste
PROGRAMME : Aménagement des espaces publics
PARTENAIRES : François Camille, Leonardo Vinti, Transitec ingénieur mobilité
x
GENEVE

RE-AMENAGEMENT DES VOIES DE CIRCULTATION SUR LE PONT BUTIN

Réaménagement des voies de circulation du Pont Butin avec une voie dévolue à la mobilité douce. Le dimensionnement des voies de circulations se base sur l’hypothèse du projet cantonal de bouclement autoroutier.
CLIENT : Etat de Genève, Direction générale des transports (DETA)
DATE : 2015
ROLE : Architecte et urbaniste
PROGRAMME : Augmentation des surfaces dévolues à la mobilité douce
PARTENAIRES : François Camille, Leonardo Vinti, Transitec ingénieur mobilité
x
LANCY

SECTEUR DE CHAPELLE GUI

Avant-projet, formalisation et concertation publique du plan localisé de quartier de Chapelle Gui, adossé à l’interface multimodale de Carouge-Bachet.
CLIENT : Ville de Lancy, Etat de Genève
DATE : 2014 - 2015
ROLE : Pilote de l’équipe pluridisciplinaire, architecte et urbaniste
PROGRAMME : Quartier mixte de logement, activités, commerce et parking relais (P+R)
SUPERFICIE : 80'000 m²
SURFACE BRUTE DE PLANCHER : 68’000 m²
PARTENAIRE : CSD ingénieurs environnement
x
GENEVE

PROJETS D’AMÉNAGEMENT D’ESPACES PUBLICS DE RIVE – 3EME PRIX

Concours d’aménagement d’une vaste zone piétonne dans le secteur de Rive au centre-ville de Genève.
ORGANISATEUR : Ville de Genève, Clé-de-Rive SA
DATE : 2015
ROLE : Architecte et urbaniste
PROGRAMME : Aménagement des espaces publics
SUPERFICIE : 45’000m²
PARTENAIRES : Paysage n’co, Thomas Jundt, Ingenta
x
CHENE-BOURG

AMENAGEMENT DES ESPACES PUBLICS DE L’INTERFACE DE CHENE-BOURG

Etablissement de cartes synoptiques pour la coordination du secteurs d’aménagement de Chêne-Bourg, attenant à la nouvelle halte du Léman Express. Définition des stratégies d’organisation au sein de la maîtrise d’ouvrage pour le pilotage des projets d’aménagement en phase d’exécution.
CLIENT : Etat de Genève, Service des interfaces CEVA
DATE : 2015
ROLE : Assistance à maîtrise d’ouvrage
PROGRAMME : Aménagement de l’interface de transport
SUPERFICIE : 37'426 m²
x
LANCY

AMENAGEMENT DES ESPACES PUBLICS DE L’INTERFACE DE CAROUGE BACHET

Etablissement de cartes synoptiques pour la coordination des aménagements publics de l’interface de transport de Carouge Bachet. Définition des stratégies d’organisation au sein de la maîtrise d’ouvrage pour le pilotage des projets d’aménagement en phase d’exécution.
CLIENT : Etat de Genève, Service des interfaces CEVA
DATE : 2015
ROLE : Assistance à maîtrise d’ouvrage
PROGRAMME : Aménagement de l’interface de transport
SUPERFICIE : 31'763 m²
x
LANCY

AMENAGEMENT DES ESPACES PUBLICS DE L’INTERFACE DE LANCY-PONT ROUGE

Etablissement de cartes synoptiques pour la coordination du secteurs d’aménagement de Lancy-Pont Rouge, attenant à la nouvelle gare du Léman Express. Définition des stratégie d’organisation au sein de la maîtrise d’ouvrage pour le pilotage des projets d’aménagement en phase d’exécution.
CLIENT : Etat de Genève, Service des interfaces CEVA
DATE : 2015
ROLE : Assistance à maîtrise d’ouvrage
PROGRAMME : Aménagement de l’interface de transport
SUPERFICIE : 51'731 m²
x
COLLONGE-BELLERIVE

VILLA BELLERIVE

Aménagement d’une villa contemporaine.
CLIENT : Privé
DATE : 2015
ROLE : Architecte
x
LANCY

INVENTAIRE ET CARTOGRAPHIE DES PROPRIETES FONCIERES DE LA COMMUNE

Réalisation d’un inventaire raisonné des acquisitions foncière de la Ville de Lancy de 1922 à 2015. Cet inventaire est complété de cartographies et d’un rapport d’analyse, à l’attention des décideurs politiques, visant à stimuler le débat autour d’une stratégie foncière communale proactive et anticipatrice.
CLIENT : Ville de Lancy
DATE : 2015
ROLE : Architecte et Urbaniste
x
GENEVE

5 GARES DU CEVA – HALTE DE CHENE-BOURG

Réalisation de cinq nouvelles gares sur la ligne ferroviaire du Léman Express à Genève : Gare de Lancy-Pont-Rouge, halte de Carouge-Bachet, halte de Champel-hôpital, gare des Eaux-Vives, halte de Chêne-Bourg.
CLIENT : Etat de Genève - CFF SA
DATE : 2005-2015
ROLE : Chef de projet
PROGRAMME : 2 émergences - Longueur des quais : 250 m
SURFACE BRUTE DE PLANCHER : 5’000m2
BUDGET : 280 mio CHF
ARCHITECTE : Groupement Ateliers Jean Nouvel
x
LANCY

5 GARES DU CEVA – HALTE DE CAROUGE-BACHET

Réalisation de cinq nouvelles gares sur la ligne ferroviaire du Léman Express à Genève : Gare de Lancy-Pont-Rouge, halte de Carouge-Bachet, halte de Champel-hôpital, gare des Eaux-Vives, halte de Chêne-Bourg.
CLIENT : Etat de Genève - CFF SA
DATE : 2005-2015
ROLE : Chef de projet
PROGRAMME : 2 émergences - Longueur des quais : 250 m
SURFACE BRUTE DE PLANCHER : 5’000m2
BUDGET : 280 mio CHF
ARCHITECTE : Groupement Ateliers Jean Nouvel
x
LANCY

5 GARES DU CEVA – GARE DE LANCY-PONT-ROUGE

Réalisation de cinq nouvelles gares sur la ligne ferroviaire du Léman Express à Genève : Gare de Lancy-Pont-Rouge, halte de Carouge-Bachet, halte de Champel-hôpital, gare des Eaux-Vives, halte de Chêne-Bourg.
CLIENT : Etat de Genève - CFF SA
DATE : 2005-2015
ROLE : Chef de projet
PROGRAMME : Gare aérienne - Longueur des quais : 350 m
SURFACE BRUTE DE PLANCHER : 4’500m2
BUDGET : 280 mio CHF
ARCHITECTE : Groupement Ateliers Jean Nouvel
x
GENEVE

5 GARES DU CEVA – GARE DES EAUX-VIVES

Réalisation de cinq nouvelles gares sur la ligne ferroviaire du Léman Express à Genève : Gare de Lancy-Pont-Rouge, halte de Carouge-Bachet, halte de Champel-hôpital, gare des Eaux-Vives, halte de Chêne-Bourg.
CLIENT : Etat de Genève - CFF SA
DATE : 2005-2015
ROLE : Chef de projet
PROGRAMME : 3 émergences, 1 galerie commerciale - Longueur des quais : 350 m
SURFACE BRUTE DE PLANCHER : 13’000m2
BUDGET : 280 mio CHF
ARCHITECTE : Groupement Ateliers Jean Nouvel
x
GENEVE

5 GARES DU CEVA – HALTE DE CHAMPEL-HOPITAL

• Réalisation de cinq nouvelles gares sur la ligne ferroviaire du Léman Express à Genève.
• Représentant du maître d’ouvrage pour le contrôle des travaux de construction de la halte ferroviaire souterraine de Champel-Hôpital, sur la ligne de RER Cornavin-Genève-Eaux-Vives.
CLIENT : CFF SA division infrastructure
DATE : 2005 – 2016
ROLE : Architecte, direction générale des travaux
SUPERFICIE : 5'700 m²
SURFACE BRUTE DE PLANCHER : 5’000 m2
LONGUEUR DES QUAIS : 2 x 250 ml
BUDGET : 18 mio CHF
ARCHITECTE : Groupement Ateliers Jean Nouvel
x
LANCY

SECTEUR DE LA BOUCLE DES PALETTES

- Avant-projet de plan localisé de quartier comprenant l’aménagement d’une nouvelle halte de tramway et d’un programme de densification de logement.
- Concertation publique
CLIENT : Ville de Lancy, Etat de Genève
DATE : 2014 – 2015
ROLE : Pilote de l’équipe pluridisciplinaire, architecte et urbaniste
PROGRAMME : Env.160 nouveaux logements, un parc public et une halte de tramway
SUPERFICIE : 18’762m²
SURFACES BRUTE DE PLANCHER : 24’000m²
PARTENAIRES : Paysage n’co, EDMS, B+S AG
x
PLAN-LES-OUATES

GRAND PROJET LES CHERPINES

Mandat d’étude parallèle pour la programmation et l’avant-projet de plan localisé de quartier, secteur du Rolliet.
CLIENT : Etat de Genève - Commune de Plan-les-Ouates, SDCI constructions investissements SA
DATE : 2014
ROLE : Pilote de l’équipe pluridisciplinaire et urbaniste
PROGRAMME : Planification de quatre îlots ouverts mixtes
SUPERFICIE : 32’000m²
SURFACE BRUTE DE PLANCHER : 45’000m²
PARTENAIRES : paysage n’co, BG Ingénieurs conseils, Luca Pattaroni
x
MONTREUX-TERRITET

RÉSIDENCE GRAND HÔTEL

Restauration et transformation du rez-de-chaussée du Grand Hôtel, monument classé à l’Inventaire National Suisse.
CLIENT : Privé
DATE : 2005-2007
ROLE : Architecte et direction des travaux
PROGRAMME : Galerie d’art et restauration
PARTENAIRE : MCR associés
x
FOCADIA

RÉSIDENCE D’ÉTÉ SYGROU

Transformation d’une maison villageoise du XXe siècle en résidence d’été. La construction est en briques de terre crue, et en pierre. La maison est protégée par la commission des monuments et sites de Delphes.
CLIENT : Privé
DATE : 2003-2004
ROLE : Architecte
PROGRAMME : 1 logement
PARTENAIRES : V. Papapolitis, N. Voulgaris
x
ESSAOUIRA, MAROC

RÉSIDENCE D’ÉTÉ

Projet d’une résidence d’été avec piscine.
CLIENT : Privé
DATE : 2017
ROLE : Architecte
PROGRAMME : Villa de 200 m²
x
VESENAZ

VILLA MANCY

Transformation et aménagement intérieur d’une villa groupée contemporaine.
CLIENT : Privé
DATE : 2012
ROLE : Architecte et direction des travaux
PROGRAMME : 1 logement
SURFACE BRUTE DE PLANCHER : 150 m²
x
SAVIGNY

VILLA CONTEMPORAINE

Réalisation d’une villa contemporaine avec piscine.
CLIENT : Privé
DATE : 2008-2009
ROLE : Architecte et direction des travaux
PROGRAMME : 1 logement
SURFACE BRUTE DE PLANCHER : 160m²
PARTENAIRES : Michel Paquet ingénieur civil, Yvan Conti architecte
x
COLOGNY

APT PLANTA

Transformations et aménagements intérieurs d’un appartement.
CLIENT : Privé
DATE : 2013
ROLE : Architecte et direction des travaux
PROGRAMME : 1 logement
SURFACE BRUTE DE PLANCHER : env. 120 m²
x
GENEVE

APT HENRI-MUSSARD

Transformation d’un appartement, rue Henri-Mussard, Genève.
CLIENT : Privé
DATE : 2010
ROLE : Architecte, direction des travaux
PROGRAMME : 1 logement
SURFACE BRUTE DE PLANCHER : 70 m²
x
THONEX

VILLA MOUSSE

Transformation et extension d’une villa unifamiliale.
CLIENT : Privé
DATE : 2014
PROGRAMME : 1 studio
SURFACE BRUTE DE PLANCHER : env. 60 m2
x
CHENE-BOURG

VILLA SIMPLON

Transformation et aménagement intérieur d’une villa unifamiliale.
CLIENT : Privé
DATE : 2014-2015
ROLE : Architecte et direction des travaux
PROGRAMME : 1 logement
SURFACE BRUTE DE PLANCHER : env. 180 m²
x
FRIBOURG

PROJET D’AMÉNAGEMENT DE LA PLACE DE LA GARE

Concours d’aménagement de la place de la Gare de Fribourg.
ORGANISATEUR : Service d’Urbanisme et d’Architecture de la Ville de Fribourg
DATE : 2016
ROLE : Architecte et urbaniste
PROGRAMME : Aménagement des espaces publics
SUPERFICIE : 21’200m²
PARTENAIRES : Paysage n’co
x
GENEVE

RESTAURANT KYTALY

Transformation d’une arcade pour un restaurant dédié à la gastronomie italienne.
CLIENT : Privé
DATE : 2014
ROLE : Architecte
PROGRAMME : Restauration
SURFACE BRUTE DE PLANCHER : env. 150 m²
x
GENEVE

RESTAURANT DAJE !

Transformation d’une arcade pour un restaurant take away de gastronomie italienne.
CLIENT : Privé
DATE : 2015-2016
ROLE : Architecte
x
CHENE-BOURG

RESTAURANT ET COFFEE SHOP

Restaurant de la Gare des sens, projet pour une halte culinaire et culturelle dans la gare historique de Chêne-Bourg.
CLIENT : Immolab SA
DATE : En cours
ROLE : Architecte
BUDGET : 2.5 moi CHF
x
LATZOUMAZ

CHALET LA TZOUMAZ

Projet de transformation d’un chalet de montagne en madrier.
CLIENT : Privé
DATE : 2012
ROLE : Architecte et direction des travaux
PROGRAMME : 1 résidence secondaire
SURFACE BRUTE DE PLANCHER : 64 m²
x
DOHA

NOUVEAU MUSEE NATIONAL DU QATAR

Mandat de management et d’audit basé sur la norme ISO 9001, auprès des mandataires et des spécialistes internationaux du projet du nouveau musée national du Qatar des Ateliers Jean Nouvel.
CLIENT : Quatar petroleum
DATE : 2008-2012
ROLE : QAQC Manager, contrôleur qualité
SUPERFICIE : 150’000m2
SURFACE BRUTE DE PLANCHER : 53'000 m2
BUDGET : 450'000 mio CHF
ARCHITECTE : Ateliers Jean Nouvel
x
CORSIER PRE-GRANGES

CORSIER

Concours de projets pour un ensemble de logements, des activités, des équipements publics de loisirs et de sport et un parc au lieu-dit Prés-Grange à Corsier.
ORGANISATEUR : Commune de Corsier
DATE : 2010
ROLE : Architecte
x
GENEVE

VILLA THURY

Expertise et projet de rénovation d’une villa unifamiliale.
CLIENT : Privé
DATE : 2009
ROLE : Architecte
PROGRAMME : Expertise et estimation des coûts
SURFACE BRUTE DE PLANCHER : 250m²
x
HERMANCE

14 VILLAS INDIVIDUELLES

Avant-projet de 14 villas sur une parcelle privée à Hermance.
DATE : 2007
CLIENT : privé
ROLE : Architecte
PROGRAMME : 14 logements
x
BARCI

VILLA CONTEMPORAINE

Projet d’une villa contemporaine avec piscine.
CLIENT : Privé
DATE : 2007
ROLE : Architecte
x
GENEVE

CODE PIN, FÊTE DE LA MUSIQUE

Réalisation du pavillon, de la scène et des aménagements temporaires de la Promenade du Pin.
CLIENT : Association Database, Ville de Genève
DATE : 2008
ROLE : Architecte, direction des travaux
PROGRAMME : Pavillon temporaire, bar et vidéo projection
x
GENEVE

ALTERING LANDSCAPE

Coordination de l’exposition urbaine « Altering Landscape » autour du bassin des Forces Motrices dans le cadre de la 3ème Conférence Mondiale sur le Climat.
CLIENT : Health and Climate Foundation
DATE : 2009
ROLE : Coordination des installations artistiques
PARTENAIRES : Michel Paquet ingénieur civil
x
BARDONNEX

VILLA HUMILLY, LA CROIX DE ROZON

Projet de transformation et d’extension d’une ferme en logement.
CLIENT : Privé
DATE : 2010
ROLE : Architecte et direction des travaux
PROGRAMME : 2 logements
SURFACE BRUTE DE PLANCHER : env. 210 m²
BUDGET : 1.5 moi CHF
x
BRUXELLES

LOFT

Projet de transformation et aménagement intérieur d’un loft dans l’ancienne brasserie impériale désaffectée de la rue Bissé, inscrite à l’inventaire du patrimoine architectural.
CLIENT : Privé
DATE : 2012
ROLE : Architecte
PROGRAMME : 1 logement
SURFACE BRUTE DE PLANCHER : Env. 150 m²
x
THONEX

VILLA PLEIN SUD

Expertise d’une villa unifamiliale.
CLIENT : Privé
DATE : 2009
ROLE : Architecte
PROGRAMME : Expertise et estimation des coûts
SURFACE BRUTE DE PLANCHER : 130 m²
x
SATIGNY

DOMAINE DU SAUGEY

Rénovation d’une maison de maître du XVIIe siècle classé au patrimoine.
CLIENT : Privé
DATE : 2002
ROLE : Direction des travaux
PROGRAMME : 1 logement
SURFACE BRUTE DE PLANCHER : 600m²
PARTENAIRE : Julien Fornet
x
MONTHEY

BUVETTE, FC MONTHEY

Projet de transformation et d’extension de la buvette du FC Monthey.
CLIENT : FC Monthey
DATE : 2009
ROLE : Architecte
PROGRAMME : Buvette et vestiaires du club
SURFACE BRUTE DE PLANCHER : 115 m²
PARTENAIRES : Yvan Conti
x
GENEVE

LES ENJEUX DE LA NAVY-MOBILITÉ, PUBLICATION EPFL

Réflexions sur la navy-mobilité autour de la Rade de Genève.
DATE : 2013
PUBLICATION : LAMU-EPFL – Lausanne
EQUIPE : Dir. I. Lamunière, C. Scheidegger
x
GENEVE

LIVING ROOTS, WORKSHOP HEAD

Réalisation d’une vitrine interactive pour l’Aéroport de Genève.
DATE : 2012
CLIENT : Aéroport de Genève
EQUIPE : HEAD-Genève, Dir. M. Crasset, A. Schaer
x
GENEVE

ECOQUARTIER

Réalisation de 27'000m² de logement, un parking, des dépôts, des commerces, des espaces culturels et une école sur l'ancien site d'Artamis à Genève.
ORGANISATEUR : Ville de Genève
DATE : 2009
ROLE : Architecte
PARTENAIRES : Meyer Architectes
x
GENEVE

GVA WINDOWS, WORKSHOP HEAD

Projet d’une vitrine interactive pour l’aéroport de Genève.
DATE : 2011
CLIENT : Aéroport de Genève
EQUIPE : HEAD-Genève, J.-P Kazemi, A. Schaer
x
GENEVE

GVA IDENTITY, BACHELOR HEAD

Projet de transformation de la structure aéroportuaire de Genève.
DATE : 2011
CLIENT : Aéroport de Genève
EQUIPE : HEAD-Genève, Dir. C. Dupraz, A. Schaer
x
GLAND

PISCINE DU MONTOLY

Concours pour la réalisation d'une piscine couverte de 25m en bois avec une charpente et des panneaux de mélèzes. Un patio intérieur de 800m² et proposé, avec des jeux aquatiques et des airs de détente.
ORGANISATEUR : Commune de Gland
DATE : 2011
ROLE : Architecte
x
COLOGNY

LOUCHETTE

Concours pour la réalisation d’une crèche et des logements communaux à la Croisée de Cologny.
DATE : 2008
ORGANISATEUR : Commune de Cologny
ROLE : Architecte
x
MONTREAL

VOODOO HOUSE 2, 32E ÉDITION DU FESTIVAL INTERNATIONAL NOUVEAUX MÉDIAS, PRIX DU JURY 2003

Réalisation d’une cabine de projection temporaire en panneaux de polystyrène expansé pour une installation multimédia interactive au Canada. La cabine a été prédécoupée par tranches à l’usine, puis assemblée lors de la livraison.
DATE : 2003
CLIENT : MediaLab Europe (MIT)
ROLE : architecte
PROGRAMME : Cabine de projection
PARTENAIRES : Michael Lev, installation interactive
x
PHILADELPHIE

INSTALLATION VOODOO HOUSE 1, FESTIVAL STREAMING VIDEO 3.0

Réalisation d’une cabine de projection temporaire en panneau des bois perforés, assemblé sur site, pour une installation multimédia interactive.
DATE : 2002
CLIENT : MediaLab Europe (MIT)
ROLE : architecte
PROGRAMME : Cabine de projection
PARTENAIRES : Michael Lev, installation interactive
x
NEW YORK CITY

DESIGNING THE HIGHLINE

Concours d’idées pour le réaménagement d’une voie ferrée aérienne désaffectée, reliant le Meatpacking district à Hudson Yard.
DATE : 2003
ORGANISATEUR : Friend of the Highline
ROLE : Architecte
x
NEW YORK

WORLD TRADE CENTER MEMORIAL

Projet de concours pour le mémorial du World Trade Center.
DATE : 2003
ORGANISATEUR : Lower Manhattan Development Corporation
ROLE : Architecte
x
LA PLAINE - ST-GALL

01-30 POTENTIELS DE DENSIFICATION DES FRICHES FERROVIAIRES, PNR54

Fonds national suisse de la recherche scientifique (FNS) sur le recensement exhaustif des friches ferroviaires, représentant près de 2mio de m² de surfaces en Suisse à requalifier à proximité des gares.
DATE : 2005-2009
CLIENT : CFF SA, groupe Immobilier
ROLE : Urbaniste pour le LAMU, EPFL
PROGRAMME : Analyse des potentiels de développement de 30 friches ferroviaires sur la ligne La plaine – St-Gall
DIRECTION : I. Lamunière, V. Kaufmann
ASSISTANTE DE RECHERCHE : A. Schaer
x
LA PLAINE

01 POTENTIELS DE DENSIFICATION DES FRICHES FERROVIAIRES, PNR54

Fonds national suisse de la recherche scientifique (FNS) sur le recensement exhaustif des friches ferroviaires, représentant près de 2mio de m² de surfaces en Suisse à requalifier à proximité des gares.
DATE : 2005-2009
CLIENT : CFF SA, groupe Immobilier
ROLE : Urbaniste pour le LAMU, EPFL
PROGRAMME : Analyse des potentiels de développement de 30 friches ferroviaires sur la ligne La plaine – St-Gall
DIRECTION : I. Lamunière, V. Kaufmann
ASSISTANTE DE RECHERCHE : A. Schaer
x
SAINT-GALL

30 POTENTIELS DE DENSIFICATION DES FRICHES FERROVIAIRES, PNR54

Fonds national suisse de la recherche scientifique (FNS) sur le recensement exhaustif des friches ferroviaires, représentant près de 2mio de m² de surfaces en Suisse à requalifier à proximité des gares.
DATE : 2005-2009
CLIENT : CFF SA, groupe Immobilier
ROLE : Urbaniste pour le LAMU, EPFL
PROGRAMME : Analyse des potentiels de développement de 30 friches ferroviaires sur la ligne La plaine – St-Gall
DIRECTION : I. Lamunière, V. Kaufmann
ASSISTANTE DE RECHERCHE : A. Schaer
x
ZOLLIKOFEN

17 POTENTIELS DE DENSIFICATION DES FRICHES FERROVIAIRES, PNR54

Fonds national suisse de la recherche scientifique (FNS) sur le recensement exhaustif des friches ferroviaires, représentant près de 2mio de m² de surfaces en Suisse à requalifier à proximité des gares.
DATE : 2005-2009
CLIENT : CFF SA, groupe Immobilier
ROLE : Urbaniste pour le LAMU, EPFL
PROGRAMME : Analyse des potentiels de développement de 30 friches ferroviaires sur la ligne La plaine – St-Gall
DIRECTION : I. Lamunière, V. Kaufmann
ASSISTANTE DE RECHERCHE : A. Schaer
x
GUMLIGEN

16 POTENTIELS DE DENSIFICATION DES FRICHES FERROVIAIRES, PNR54

Fonds national suisse de la recherche scientifique (FNS) sur le recensement exhaustif des friches ferroviaires, représentant près de 2mio de m² de surfaces en Suisse à requalifier à proximité des gares.
DATE : 2005-2009
CLIENT : CFF SA, groupe Immobilier
ROLE : Urbaniste pour le LAMU, EPFL
PROGRAMME : Analyse des potentiels de développement de 30 friches ferroviaires sur la ligne La plaine – St-Gall
DIRECTION : I. Lamunière, V. Kaufmann
ASSISTANTE DE RECHERCHE : A. Schaer
x
OSTERMUNDIGEN

15 POTENTIELS DE DENSIFICATION DES FRICHES FERROVIAIRES, PNR54

Fonds national suisse de la recherche scientifique (FNS) sur le recensement exhaustif des friches ferroviaires, représentant près de 2mio de m² de surfaces en Suisse à requalifier à proximité des gares.
DATE : 2005-2009
CLIENT : CFF SA, groupe Immobilier
ROLE : Urbaniste pour le LAMU, EPFL
PROGRAMME : Analyse des potentiels de développement de 30 friches ferroviaires sur la ligne La plaine – St-Gall
DIRECTION : I. Lamunière, V. Kaufmann
ASSISTANTE DE RECHERCHE : A. Schaer
x
THORISHAUS

13 POTENTIELS DE DENSIFICATION DES FRICHES FERROVIAIRES, PNR54

Fonds national suisse de la recherche scientifique (FNS) sur le recensement exhaustif des friches ferroviaires, représentant près de 2mio de m² de surfaces en Suisse à requalifier à proximité des gares.
DATE : 2005-2009
CLIENT : CFF SA, groupe Immobilier
ROLE : Urbaniste pour le LAMU, EPFL
PROGRAMME : Analyse des potentiels de développement de 30 friches ferroviaires sur la ligne La plaine – St-Gall
DIRECTION : I. Lamunière, V. Kaufmann
ASSISTANTE DE RECHERCHE : A. Schaer
x
FRIBOURG

12 POTENTIELS DE DENSIFICATION DES FRICHES FERROVIAIRES, PNR54

Fonds national suisse de la recherche scientifique (FNS) sur le recensement exhaustif des friches ferroviaires, représentant près de 2mio de m² de surfaces en Suisse à requalifier à proximité des gares.
DATE : 2005-2009
CLIENT : CFF SA, groupe Immobilier
ROLE : Urbaniste pour le LAMU, EPFL
PROGRAMME : Analyse des potentiels de développement de 30 friches ferroviaires sur la ligne La plaine – St-Gall
DIRECTION : I. Lamunière, V. Kaufmann
ASSISTANTE DE RECHERCHE : A. Schaer
x
BURGDORF

18 POTENTIELS DE DENSIFICATION DES FRICHES FERROVIAIRES, PNR54

Fonds national suisse de la recherche scientifique (FNS) sur le recensement exhaustif des friches ferroviaires, représentant près de 2mio de m² de surfaces en Suisse à requalifier à proximité des gares.
DATE : 2005-2009
CLIENT : CFF SA, groupe Immobilier
ROLE : Urbaniste pour le LAMU, EPFL
PROGRAMME : Analyse des potentiels de développement de 30 friches ferroviaires sur la ligne La plaine – St-Gall
DIRECTION : I. Lamunière, V. Kaufmann
ASSISTANTE DE RECHERCHE : A. Schaer
x
OLTEN

19 POTENTIELS DE DENSIFICATION DES FRICHES FERROVIAIRES, PNR54

Fonds national suisse de la recherche scientifique (FNS) sur le recensement exhaustif des friches ferroviaires, représentant près de 2mio de m² de surfaces en Suisse à requalifier à proximité des gares.
DATE : 2005-2009
CLIENT : CFF SA, groupe Immobilier
ROLE : Urbaniste pour le LAMU, EPFL
PROGRAMME : Analyse des potentiels de développement de 30 friches ferroviaires sur la ligne La plaine – St-Gall
DIRECTION : I. Lamunière, V. Kaufmann
ASSISTANTE DE RECHERCHE : A. Schaer
x
DANIKEN

20 POTENTIELS DE DENSIFICATION DES FRICHES FERROVIAIRES, PNR54

Fonds national suisse de la recherche scientifique (FNS) sur le recensement exhaustif des friches ferroviaires, représentant près de 2mio de m² de surfaces en Suisse à requalifier à proximité des gares.
DATE : 2005-2009
CLIENT : CFF SA, groupe Immobilier
ROLE : Urbaniste pour le LAMU, EPFL
PROGRAMME : Analyse des potentiels de développement de 30 friches ferroviaires sur la ligne La plaine – St-Gall
DIRECTION : I. Lamunière, V. Kaufmann
ASSISTANTE DE RECHERCHE : A. Schaer
x
ROMONT

11 POTENTIELS DE DENSIFICATION DES FRICHES FERROVIAIRES, PNR54

Fonds national suisse de la recherche scientifique (FNS) sur le recensement exhaustif des friches ferroviaires, représentant près de 2mio de m² de surfaces en Suisse à requalifier à proximité des gares.
DATE : 2005-2009
CLIENT : CFF SA, groupe Immobilier
ROLE : Urbaniste pour le LAMU, EPFL
PROGRAMME : Analyse des potentiels de développement de 30 friches ferroviaires sur la ligne La plaine – St-Gall
DIRECTION : I. Lamunière, V. Kaufmann
ASSISTANTE DE RECHERCHE : A. Schaer
x
PALEZIEUX

10 POTENTIELS DE DENSIFICATION DES FRICHES FERROVIAIRES, PNR54

Fonds national suisse de la recherche scientifique (FNS) sur le recensement exhaustif des friches ferroviaires, représentant près de 2mio de m² de surfaces en Suisse à requalifier à proximité des gares.
DATE : 2005-2009
CLIENT : CFF SA, groupe Immobilier
ROLE : Urbaniste pour le LAMU, EPFL
PROGRAMME : Analyse des potentiels de développement de 30 friches ferroviaires sur la ligne La plaine – St-Gall
DIRECTION : I. Lamunière, V. Kaufmann
ASSISTANTE DE RECHERCHE : A. Schaer
x
WIL

29 POTENTIELS DE DENSIFICATION DES FRICHES FERROVIAIRES, PNR54

Fonds national suisse de la recherche scientifique (FNS) sur le recensement exhaustif des friches ferroviaires, représentant près de 2mio de m² de surfaces en Suisse à requalifier à proximité des gares.
DATE : 2005-2009
CLIENT : CFF SA, groupe Immobilier
ROLE : Urbaniste pour le LAMU, EPFL
PROGRAMME : Analyse des potentiels de développement de 30 friches ferroviaires sur la ligne La plaine – St-Gall
DIRECTION : I. Lamunière, V. Kaufmann
ASSISTANTE DE RECHERCHE : A. Schaer
x
WINTERTHUR

28 POTENTIELS DE DENSIFICATION DES FRICHES FERROVIAIRES, PNR54

Fonds national suisse de la recherche scientifique (FNS) sur le recensement exhaustif des friches ferroviaires, représentant près de 2mio de m² de surfaces en Suisse à requalifier à proximité des gares.
DATE : 2005-2009
CLIENT : CFF SA, groupe Immobilier
ROLE : Urbaniste pour le LAMU, EPFL
PROGRAMME : Analyse des potentiels de développement de 30 friches ferroviaires sur la ligne La plaine – St-Gall
DIRECTION : I. Lamunière, V. Kaufmann
ASSISTANTE DE RECHERCHE : A. Schaer
x
ZURICH

27 POTENTIELS DE DENSIFICATION DES FRICHES FERROVIAIRES, PNR54

Fonds national suisse de la recherche scientifique (FNS) sur le recensement exhaustif des friches ferroviaires, représentant près de 2mio de m² de surfaces en Suisse à requalifier à proximité des gares.
DATE : 2005-2009
CLIENT : CFF SA, groupe Immobilier
ROLE : Urbaniste pour le LAMU, EPFL
PROGRAMME : Analyse des potentiels de développement de 30 friches ferroviaires sur la ligne La plaine – St-Gall
DIRECTION : I. Lamunière, V. Kaufmann
ASSISTANTE DE RECHERCHE : A. Schaer
x
WETTINGEN

26 POTENTIELS DE DENSIFICATION DES FRICHES FERROVIAIRES, PNR54

Fonds national suisse de la recherche scientifique (FNS) sur le recensement exhaustif des friches ferroviaires, représentant près de 2mio de m² de surfaces en Suisse à requalifier à proximité des gares.
DATE : 2005-2009
CLIENT : CFF SA, groupe Immobilier
ROLE : Urbaniste pour le LAMU, EPFL
PROGRAMME : Analyse des potentiels de développement de 30 friches ferroviaires sur la ligne La plaine – St-Gall
DIRECTION : I. Lamunière, V. Kaufmann
ASSISTANTE DE RECHERCHE : A. Schaer
x
TURGI

25 POTENTIELS DE DENSIFICATION DES FRICHES FERROVIAIRES, PNR54

Fonds national suisse de la recherche scientifique (FNS) sur le recensement exhaustif des friches ferroviaires, représentant près de 2mio de m² de surfaces en Suisse à requalifier à proximité des gares.
DATE : 2005-2009
CLIENT : CFF SA, groupe Immobilier
ROLE : Urbaniste pour le LAMU, EPFL
PROGRAMME : Analyse des potentiels de développement de 30 friches ferroviaires sur la ligne La plaine – St-Gall
DIRECTION : I. Lamunière, V. Kaufmann
ASSISTANTE DE RECHERCHE : A. Schaer
x
BRUGG

24 POTENTIELS DE DENSIFICATION DES FRICHES FERROVIAIRES, PNR54

Fonds national suisse de la recherche scientifique (FNS) sur le recensement exhaustif des friches ferroviaires, représentant près de 2mio de m² de surfaces en Suisse à requalifier à proximité des gares.
DATE : 2005-2009
CLIENT : CFF SA, groupe Immobilier
ROLE : Urbaniste pour le LAMU, EPFL
PROGRAMME : Analyse des potentiels de développement de 30 friches ferroviaires sur la ligne La plaine – St-Gall
DIRECTION : I. Lamunière, V. Kaufmann
ASSISTANTE DE RECHERCHE : A. Schaer
x
LENZBURG

23 POTENTIELS DE DENSIFICATION DES FRICHES FERROVIAIRES, PNR54

Fonds national suisse de la recherche scientifique (FNS) sur le recensement exhaustif des friches ferroviaires, représentant près de 2mio de m² de surfaces en Suisse à requalifier à proximité des gares.
DATE : 2005-2009
CLIENT : CFF SA, groupe Immobilier
ROLE : Urbaniste pour le LAMU, EPFL
PROGRAMME : Analyse des potentiels de développement de 30 friches ferroviaires sur la ligne La plaine – St-Gall
DIRECTION : I. Lamunière, V. Kaufmann
ASSISTANTE DE RECHERCHE : A. Schaer
x
AARAU

22 POTENTIELS DE DENSIFICATION DES FRICHES FERROVIAIRES, PNR54

Fonds national suisse de la recherche scientifique (FNS) sur le recensement exhaustif des friches ferroviaires, représentant près de 2mio de m² de surfaces en Suisse à requalifier à proximité des gares.
DATE : 2005-2009
CLIENT : CFF SA, groupe Immobilier
ROLE : Urbaniste pour le LAMU, EPFL
PROGRAMME : Analyse des potentiels de développement de 30 friches ferroviaires sur la ligne La plaine – St-Gall
DIRECTION : I. Lamunière, V. Kaufmann
ASSISTANTE DE RECHERCHE : A. Schaer
x
SCHONENWERD

21 POTENTIELS DE DENSIFICATION DES FRICHES FERROVIAIRES, PNR54

Fonds national suisse de la recherche scientifique (FNS) sur le recensement exhaustif des friches ferroviaires, représentant près de 2mio de m² de surfaces en Suisse à requalifier à proximité des gares.
DATE : 2005-2009
CLIENT : CFF SA, groupe Immobilier
ROLE : Urbaniste pour le LAMU, EPFL
PROGRAMME : Analyse des potentiels de développement de 30 friches ferroviaires sur la ligne La plaine – St-Gall
DIRECTION : I. Lamunière, V. Kaufmann
ASSISTANTE DE RECHERCHE : A. Schaer
x
BERNE

14 POTENTIELS DE DENSIFICATION DES FRICHES FERROVIAIRES, PNR54

Fonds national suisse de la recherche scientifique (FNS) sur le recensement exhaustif des friches ferroviaires, représentant près de 2mio de m² de surfaces en Suisse à requalifier à proximité des gares.
DATE : 2005-2009
CLIENT : CFF SA, groupe Immobilier
ROLE : Urbaniste pour le LAMU, EPFL
PROGRAMME : Analyse des potentiels de développement de 30 friches ferroviaires sur la ligne La plaine – St-Gall
DIRECTION : I. Lamunière, V. Kaufmann
ASSISTANTE DE RECHERCHE : A. Schaer
x
GLAND

06 POTENTIELS DE DENSIFICATION DES FRICHES FERROVIAIRES, PNR54

Fonds national suisse de la recherche scientifique (FNS) sur le recensement exhaustif des friches ferroviaires, représentant près de 2mio de m² de surfaces en Suisse à requalifier à proximité des gares.
DATE : 2005-2009
CLIENT : CFF SA, groupe Immobilier
ROLE : Urbaniste pour le LAMU, EPFL
PROGRAMME : Analyse des potentiels de développement de 30 friches ferroviaires sur la ligne La plaine – St-Gall
DIRECTION : I. Lamunière, V. Kaufmann
ASSISTANTE DE RECHERCHE : A. Schaer
x
GENEVE

03 POTENTIELS DE DENSIFICATION DES FRICHES FERROVIAIRES, PNR54

Fonds national suisse de la recherche scientifique (FNS) sur le recensement exhaustif des friches ferroviaires, représentant près de 2mio de m² de surfaces en Suisse à requalifier à proximité des gares.
DATE : 2005-2009
CLIENT : CFF SA, groupe Immobilier
ROLE : Urbaniste pour le LAMU, EPFL
PROGRAMME : Analyse des potentiels de développement de 30 friches ferroviaires sur la ligne La plaine – St-Gall
DIRECTION : I. Lamunière, V. Kaufmann
ASSISTANTE DE RECHERCHE : A. Schaer
x
PUIDOUX

09 POTENTIELS DE DENSIFICATION DES FRICHES FERROVIAIRES, PNR54

Fonds national suisse de la recherche scientifique (FNS) sur le recensement exhaustif des friches ferroviaires, représentant près de 2mio de m² de surfaces en Suisse à requalifier à proximité des gares.
DATE : 2005-2009
CLIENT : CFF SA, groupe Immobilier
ROLE : Urbaniste pour le LAMU, EPFL
PROGRAMME : Analyse des potentiels de développement de 30 friches ferroviaires sur la ligne La plaine – St-Gall
DIRECTION : I. Lamunière, V. Kaufmann
ASSISTANTE DE RECHERCHE : A. Schaer
x
LAUSANNE

08 POTENTIELS DE DENSIFICATION DES FRICHES FERROVIAIRES, PNR54

Fonds national suisse de la recherche scientifique (FNS) sur le recensement exhaustif des friches ferroviaires, représentant près de 2mio de m² de surfaces en Suisse à requalifier à proximité des gares.
DATE : 2005-2009
CLIENT : CFF SA, groupe Immobilier
ROLE : Urbaniste pour le LAMU, EPFL
PROGRAMME : Analyse des potentiels de développement de 30 friches ferroviaires sur la ligne La plaine – St-Gall
DIRECTION : I. Lamunière, V. Kaufmann
ASSISTANTE DE RECHERCHE : A. Schaer
x
MORGES

07 POTENTIELS DE DENSIFICATION DES FRICHES FERROVIAIRES, PNR54

Fonds national suisse de la recherche scientifique (FNS) sur le recensement exhaustif des friches ferroviaires, représentant près de 2mio de m² de surfaces en Suisse à requalifier à proximité des gares.
DATE : 2005-2009
CLIENT : CFF SA, groupe Immobilier
ROLE : Urbaniste pour le LAMU, EPFL
PROGRAMME : Analyse des potentiels de développement de 30 friches ferroviaires sur la ligne La plaine – St-Gall
DIRECTION : I. Lamunière, V. Kaufmann
ASSISTANTE DE RECHERCHE : A. Schaer
x
NYON

05 POTENTIELS DE DENSIFICATION DES FRICHES FERROVIAIRES, PNR54

Fonds national suisse de la recherche scientifique (FNS) sur le recensement exhaustif des friches ferroviaires, représentant près de 2mio de m² de surfaces en Suisse à requalifier à proximité des gares.
DATE : 2005-2009
CLIENT : CFF SA, groupe Immobilier
ROLE : Urbaniste pour le LAMU, EPFL
PROGRAMME : Analyse des potentiels de développement de 30 friches ferroviaires sur la ligne La plaine – St-Gall
DIRECTION : I. Lamunière, V. Kaufmann
ASSISTANTE DE RECHERCHE : A. Schaer
x
VERSOIX

04 POTENTIELS DE DENSIFICATION DES FRICHES FERROVIAIRES, PNR54

Fonds national suisse de la recherche scientifique (FNS) sur le recensement exhaustif des friches ferroviaires, représentant près de 2mio de m² de surfaces en Suisse à requalifier à proximité des gares.
DATE : 2005-2009
CLIENT : CFF SA, groupe Immobilier
ROLE : Urbaniste pour le LAMU, EPFL
PROGRAMME : Analyse des potentiels de développement de 30 friches ferroviaires sur la ligne La plaine – St-Gall
DIRECTION : I. Lamunière, V. Kaufmann
ASSISTANTE DE RECHERCHE : A. Schaer
x
LANCY

02 POTENTIELS DE DENSIFICATION DES FRICHES FERROVIAIRES, PNR54

Fonds national suisse de la recherche scientifique (FNS) sur le recensement exhaustif des friches ferroviaires, représentant près de 2mio de m² de surfaces en Suisse à requalifier à proximité des gares.
DATE : 2005-2009
CLIENT : CFF SA, groupe Immobilier
ROLE : Urbaniste pour le LAMU, EPFL
PROGRAMME : Analyse des potentiels de développement de 30 friches ferroviaires sur la ligne La plaine – St-Gall
DIRECTION : I. Lamunière, V. Kaufmann
ASSISTANTE DE RECHERCHE : A. Schaer
x
BUSSIGNY-RENENS-LE FLON

MOBILITÉ ET FORME URBAINE, SECTEUR DES GARES REGIONALES DU CANTON DE VAUD

Etude sur la densification des quartiers autour des gares régionales du Flon, Renens, Busigny, Blécherettes, Cheseaux, Le Mont, Morges, Yverdon, Villeneuve, Gland.
DATE : 2004
CLIENT : Service de l’Aménagement du Territoire du Canton de Vaud
ROLE : Urbaniste pour le LAMU, EPFL
PROGRAMME : Répertoire de forme urbaine pour la densification des communes du canton de Vaud desservies par une gare ferroviaire.
EQUIPE DE RECHERCHE : Dir. I. Lamunière, A. Schaer
x
GLAND

MOBILITÉ ET FORME URBAINE, SECTEUR DES GARES REGIONALES DU CANTON DE VAUD

Etude sur la densification des quartiers autour des gares régionales du Flon, Renens, Busigny, Blécherettes, Cheseaux, Le Mont, Morges, Yverdon, Villeneuve, Gland.
DATE : 2004
CLIENT : Service de l’Aménagement du Territoire du Canton de Vaud
ROLE : Urbaniste pour le LAMU, EPFL
PROGRAMME : Répertoire de forme urbaine pour la densification des communes du canton de Vaud desservies par une gare ferroviaire.
EQUIPE DE RECHERCHE : Dir. I. Lamunière, A. Schaer
x
VILLENEUVE

MOBILITÉ ET FORME URBAINE, SECTEUR DES GARES REGIONALES DU CANTON DE VAUD

Etude sur la densification des quartiers autour des gares régionales du Flon, Renens, Busigny, Blécherettes, Cheseaux, Le Mont, Morges, Yverdon, Villeneuve, Gland.
DATE : 2004
CLIENT : Service de l’Aménagement du Territoire du Canton de Vaud
ROLE : Urbaniste pour le LAMU, EPFL
PROGRAMME : Répertoire de forme urbaine pour la densification des communes du canton de Vaud desservies par une gare ferroviaire.
EQUIPE DE RECHERCHE : Dir. I. Lamunière, A. Schaer
x
MORGES

MOBILITÉ ET FORME URBAINE, SECTEUR DES GARES REGIONALES DU CANTON DE VAUD

Etude sur la densification des quartiers autour des gares régionales du Flon, Renens, Busigny, Blécherettes, Cheseaux, Le Mont, Morges, Yverdon, Villeneuve, Gland.
DATE : 2004
CLIENT : Service de l’Aménagement du Territoire du Canton de Vaud
ROLE : Urbaniste pour le LAMU, EPFL
PROGRAMME : Répertoire de forme urbaine pour la densification des communes du canton de Vaud desservies par une gare ferroviaire.
EQUIPE DE RECHERCHE : Dir. I. Lamunière, A. Schaer
x
CANTON DE VAUD

MOBILITÉ ET FORME URBAINE, SECTEUR DES GARES REGIONALES DU CANTON DE VAUD

Etude sur la densification des quartiers autour des gares régionales du Flon, Renens, Busigny, Blécherettes, Cheseaux, Le Mont, Morges, Yverdon, Villeneuve, Gland.
DATE : 2004
CLIENT : Service de l’Aménagement du Territoire du Canton de Vaud
ROLE : Urbaniste pour le LAMU, EPFL
PROGRAMME : Répertoire de forme urbaine pour la densification des communes du canton de Vaud desservies par une gare ferroviaire.
EQUIPE DE RECHERCHE : Dir. I. Lamunière, A. Schaer
x
YVERDON

MOBILITÉ ET FORME URBAINE, SECTEUR DES GARES REGIONALES DU CANTON DE VAUD

Etude sur la densification des quartiers autour des gares régionales du Flon, Renens, Busigny, Blécherettes, Cheseaux, Le Mont, Morges, Yverdon, Villeneuve, Gland.
DATE : 2004
CLIENT : Service de l’Aménagement du Territoire du Canton de Vaud
ROLE : Urbaniste pour le LAMU, EPFL
PROGRAMME : Répertoire de forme urbaine pour la densification des communes du canton de Vaud desservies par une gare ferroviaire.
EQUIPE DE RECHERCHE : Dir. I. Lamunière, A. Schaer
x
LAUSANNE-CHESEAUX-LE MONT

MOBILITÉ ET FORME URBAINE, SECTEUR DES GARES REGIONALES DU CANTON DE VAUD

Etude sur la densification des quartiers autour des gares régionales du Flon, Renens, Busigny, Blécherettes, Cheseaux, Le Mont, Morges, Yverdon, Villeneuve, Gland.
DATE : 2004
CLIENT : Service de l’Aménagement du Territoire du Canton de Vaud
ROLE : Urbaniste pour le LAMU, EPFL
PROGRAMME : Répertoire de forme urbaine pour la densification des communes du canton de Vaud desservies par une gare ferroviaire.
EQUIPE DE RECHERCHE : Dir. I. Lamunière, A. Schaer
x
VILLARS

VISAGES DE LA DENSITÉ, PLAN DIRECTEUR CANTONAL DE LAUSANNE

Annexe au plan directeur cantonal de Vaud, étude sur la densité urbaine et le logement.
DATE : 2005
CLIENT : Service de l’Aménagement du Territoire du Canton de Vaud
ROLE : Urbaniste pour le LAMU, EPFL
PROGRAMME : Etude sur la densification autour des gares régionales du Canton de Vaud
EQUIPE DE RECHERCHE : Dir. I. Lamunière, Dir. B. Marchand, A. Schaer
x
BIERE

VISAGES DE LA DENSITÉ, PLAN DIRECTEUR CANTONAL DE LAUSANNE

Annexe au plan directeur cantonal de Vaud, étude sur la densité urbaine et le logement.
DATE : 2005
CLIENT : Service de l’Aménagement du Territoire du Canton de Vaud
ROLE : Urbaniste pour le LAMU, EPFL
PROGRAMME : Etude sur la densification autour des gares régionales du Canton de Vaud
EQUIPE DE RECHERCHE : Dir. I. Lamunière, Dir. B. Marchand, A. Schaer
x
MORGES

VISAGES DE LA DENSITÉ, PLAN DIRECTEUR CANTONAL DE LAUSANNE

Annexe au plan directeur cantonal de Vaud, étude sur la densité urbaine et le logement.
DATE : 2005
CLIENT : Service de l’Aménagement du Territoire du Canton de Vaud
ROLE : Urbaniste pour le LAMU, EPFL
PROGRAMME : Etude sur la densification autour des gares régionales du Canton de Vaud
EQUIPE DE RECHERCHE : Dir. I. Lamunière, Dir. B. Marchand, A. Schaer
x
BALLENS

VISAGES DE LA DENSITÉ, PLAN DIRECTEUR CANTONAL DE LAUSANNE

Annexe au plan directeur cantonal de Vaud, étude sur la densité urbaine et le logement.
DATE : 2005
CLIENT : Service de l’Aménagement du Territoire du Canton de Vaud
ROLE : Urbaniste pour le LAMU, EPFL
PROGRAMME : Etude sur la densification autour des gares régionales du Canton de Vaud
EQUIPE DE RECHERCHE : Dir. I. Lamunière, Dir. B. Marchand, A. Schaer
x
Å’X

VISAGES DE LA DENSITÉ, PLAN DIRECTEUR CANTONAL DE LAUSANNE

Annexe au plan directeur cantonal de Vaud, étude sur la densité urbaine et le logement.
DATE : 2005
CLIENT : Service de l’Aménagement du Territoire du Canton de Vaud
ROLE : Urbaniste pour le LAMU, EPFL
PROGRAMME : Etude sur la densification autour des gares régionales du Canton de Vaud
EQUIPE DE RECHERCHE : Dir. I. Lamunière, Dir. B. Marchand, A. Schaer
x
BEX

VISAGES DE LA DENSITÉ, PLAN DIRECTEUR CANTONAL DE LAUSANNE

Annexe au plan directeur cantonal de Vaud, étude sur la densité urbaine et le logement.
DATE : 2005
CLIENT : Service de l’Aménagement du Territoire du Canton de Vaud
ROLE : Urbaniste pour le LAMU, EPFL
PROGRAMME : Etude sur la densification autour des gares régionales du Canton de Vaud
EQUIPE DE RECHERCHE : Dir. I. Lamunière, Dir. B. Marchand, A. Schaer
x
ECHALLENS

VISAGES DE LA DENSITÉ, PLAN DIRECTEUR CANTONAL DE LAUSANNE

Annexe au plan directeur cantonal de Vaud, étude sur la densité urbaine et le logement.
DATE : 2005
CLIENT : Service de l’Aménagement du Territoire du Canton de Vaud
ROLE : Urbaniste pour le LAMU, EPFL
PROGRAMME : Etude sur la densification autour des gares régionales du Canton de Vaud
EQUIPE DE RECHERCHE : Dir. I. Lamunière, Dir. B. Marchand, A. Schaer
x
PALEZIEUX

VISAGES DE LA DENSITÉ, PLAN DIRECTEUR CANTONAL DE LAUSANNE

Annexe au plan directeur cantonal de Vaud, étude sur la densité urbaine et le logement.
DATE : 2005
CLIENT : Service de l’Aménagement du Territoire du Canton de Vaud
ROLE : Urbaniste pour le LAMU, EPFL
PROGRAMME : Etude sur la densification autour des gares régionales du Canton de Vaud
EQUIPE DE RECHERCHE : Dir. I. Lamunière, Dir. B. Marchand, A. Schaer
x
CANTON VAUD

VISAGES DE LA DENSITÉ, PLAN DIRECTEUR CANTONAL DE LAUSANNE

DATE : 2005
CLIENT : Service de l’Aménagement du Territoire du Canton de Vaud
ROLE : Urbaniste pour le LAMU, EPFL
PROGRAMME : Etude sur la densification autour des gares régionales du Canton de Vaud
EQUIPE DE RECHERCHE : Dir. I. Lamunière, A. Schaer
x
GENEVE

PAVILLON 360° SHADOW

Mandat d’étude parallèle pour la réalisation d’une série de Pavillons autour de la Rade de Genève.
DATE : 2004
CLIENT : Ville de Genève
ROLE : Architecte
PROGRAMME : pavillons pour la petite restauration et l’information touristique en matériaux composites
PARTENAIRES : Meyer architecte (associé), Bertrand Cardis (Décision SA)
x
BELGRADE

TRANSFORMATION DES EQUIPEMENTS DES RIVES DE LA SAVE

Projet de diplôme sur la mutation urbaine de Belgrade suite à la levée de l'embargo en octobre 2000.
x
Liste des projets